REQUEST A TOUR If you would like to see this home without being there in person, select the "Virtual Tour" option and your agent will contact you to discuss available opportunities.
In-PersonVirtual Tour

$ 200,000
Est. payment | /mo
$ 200,000
Est. payment | /mo
Key Details
Property Type Vacant Land
Listing Status Active
Purchase Type For Sale
Subdivision Bdcc Country Club (31205)
MLS Listing ID SW25270173
HOA Fees $159/mo
HOA Y/N Yes
Property Description
Bermuda Dunes Country Club offers a 27 hole golf course and a member fitness facility with modern exercise equipment. The Club also runs an active social calendar featuring gatherings like happy hours, parties, games, and seasonal events, so it is easy to meet neighbors and stay connected.
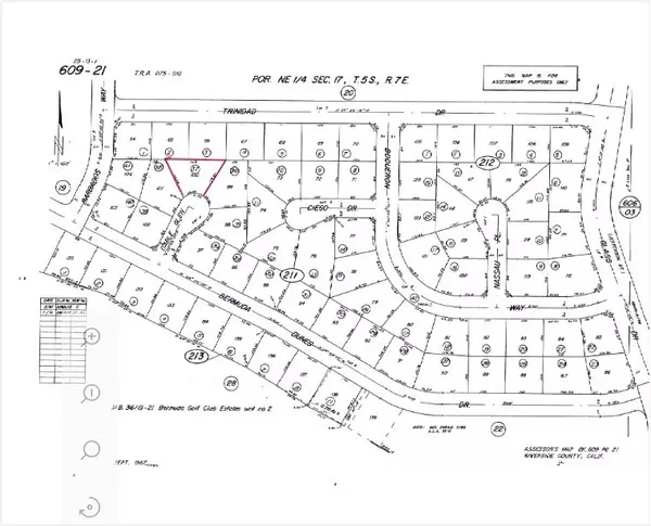
With approximately a quarter acre to work with, this oversized cul-dec-sac lot is one of the most elevated parcels inside Bermuda Dunes Country Club providing you mountain views of the Coachella Valley. You get plenty of space for a custom home, pool, and outdoor living while still enjoying the comfort of a well-established community.
Water is hooked up to the property. Utilities are nearby and a septic system is required. Soil tests, geological report, topography map and seismic survey are completed. Architectural plans have also been submitted.
With approximately a quarter acre to work with, this oversized cul-dec-sac lot is one of the most elevated parcels inside Bermuda Dunes Country Club providing you mountain views of the Coachella Valley. You get plenty of space for a custom home, pool, and outdoor living while still enjoying the comfort of a well-established community.
Water is hooked up to the property. Utilities are nearby and a septic system is required. Soil tests, geological report, topography map and seismic survey are completed. Architectural plans have also been submitted.
Location
State CA
County Riverside
Area 312 - Bermuda Dunes, Myoma
Zoning R-1
Interior
Fireplace No
Exterior
Fence Block
Community Features Golf, Sidewalks
View Y/N Yes
View Mountain(s), Peek-A-Boo
Building
Lot Description 0-1 Unit/Acre, Cul-De-Sac
Water Public
New Construction No
Others
HOA Name Bermuda Dunes Community Association
Senior Community No
Tax ID 609211037
Acceptable Financing Cash, Conventional, 1031 Exchange
Listing Terms Cash, Conventional, 1031 Exchange
Special Listing Condition Standard

Listed by Sherwin Balwing CENTURY 21 Affiliated 951-834-6369
GET MORE INFORMATION

Steven Golden
Broker | Lic# 01290347



